
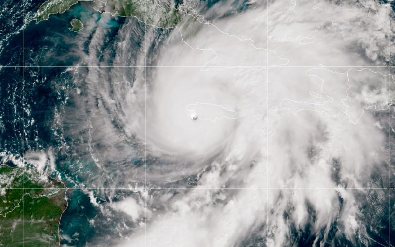
A massive, slow-moving hurricane is making its way through the Caribbean.
After slamming through Jamaica and causing extensive damage, according to The Guardian, Hurricane Melissa has hit Cuba. The news outlet reports that this is the strongest category 5 storm to hit Jamaica since it began recording storms in 1851, but has slowed to a category 3 over Cuba. Still, it will continue to cause destruction as it likely moves into the Bahamas.
The storm is remarkable in that its speed (very slow, moving at 7 miles per hour) and strength (up to 180mph winds) create the ultimate environment for destruction.
Videos of the storm and its impact are all over social media.
This Tweet is currently unavailable. It might be loading or has been removed.
This Tweet is currently unavailable. It might be loading or has been removed.
The most shocking and viral videos on X of the hurricane are from @FlynonymousWX, aka the Tropical Cowboy of Danger, an anonymous U.S. Air Force hurricane hunter who posted videos from Hurricane Melissa’s eye. (Since @FlynonymousWX is anonymous, it is difficult to confirm the authenticity of the videos, but they do seem to be real and the account has a history of posting this sort of content.)
This Tweet is currently unavailable. It might be loading or has been removed.
This Tweet is currently unavailable. It might be loading or has been removed.
This Tweet is currently unavailable. It might be loading or has been removed.
This Tweet is currently unavailable. It might be loading or has been removed.
But, of course, AI videos have also gone viral, which pop up during natural disasters with remarkable frequency. Take this video of a shark in someone’s pool. It is not real.
This Tweet is currently unavailable. It might be loading or has been removed.
A good rule of thumb in times of natural disasters with regards to AI-generated videos is to follow what agencies like the National Hurricane Center are posting — and to not believe everything you see.